Baugrundstücke im Bebauungsplan Am Sportplatz „Edith-Bender-Straße“
In der Stadt Münstermaifeld befindet sich das o.a. Baugebiet in der finalen Realisierung. Der Bebauungsplan ist bereits rechtsverbindlich. Derzeit wird die Erschließung im Plangebiet hergestellt. Die Grundstücke befinden sich ausschließlich im Eigentum der Stadt Münstermaifeld. Daher erfolgt die gesamte Grundstücksveräußerung durch die Stadt Münstermaifeld.In Abhängigkeit von der Lage wurde mit Beschluss des Stadtrates von Münstermaifeld vom 12.12.2024 beschlossen, die zur Verfügung stehenden Bauplätze (Anlage 2) für den Verkauf in drei Preiskategorien einzuteilen.
Kategorie 1 (gelb) 185,00 EUR/qm
Kategorie 2 (blau) 195,00 EUR/qm
Kategorie 3 (rot) 205,00 EUR/qm
Der Verkaufspreis bezieht sich auf ein vollerschlossenes Grundstück. Das heißt, enthalten sind Erschließungsbeitrag nach §§ 123 ff. BauGB, der Kostenerstattungsbetrag nach § 135 a-c BauGB und die einmaligen Kosten für die Erschließungsanlagen nach Kommunalabgabenrecht (insb. Wasser- und Kanalanschluss). Der tatsächliche Anschluss an die kommunalen Ver- und Entsorgungsleitungen und der Anschluss an die Strom-, Gasleitungen usw. ist dagegen allein Sache des Käufers.
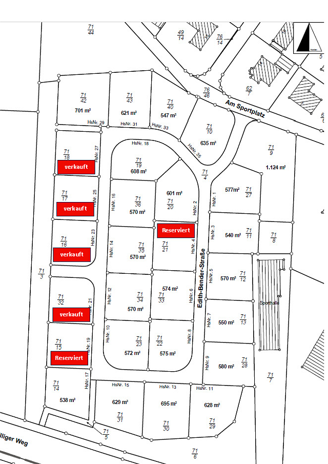
Aktuelle Übersicht der noch freien Grundstücke

Downloads: